

- Zona de baja presión frente a Michoacán: el ciclón que podría devastar México
- Nueva zona de baja presión en Guerrero y Jalisco: ¿otro desastre en camino?
- Baja California Sur al borde del colapso: lluvias y vientos extremos
- México bajo constante amenaza: huracanes y frentes fríos ponen el país en riesgo extremo
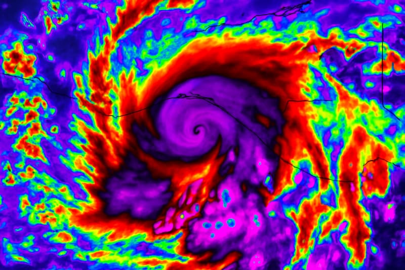
La temporada de huracanes 2025 no da tregua y pone a México cerca de una emergencia climática. Una zona de baja presión con altísima probabilidad de convertirse en ciclón mantiene en alerta a Baja California Sur y otras regiones del Pacífico.
El Servicio Meteorológico Nacional (SMN) advierte que en apenas 48 horaspodría formarse un huracán, y en tan solo 7 días, la probabilidad alcanza el 80%, generando riesgo de lluvias torrenciales, vientos devastadores y posibles inundaciones.

Zona de baja presión frente a Michoacán: el ciclón que podría devastar México
La Conagua informó que este sistema se encuentra a 1,105 km al suroeste de Punta San Telmo, Michoacán, asociado a la onda tropical número 34.
Su evolución podría generar un ciclón tropical de gran intensidad, con rachas de viento superiores a 100 km/h, oleaje gigantesco y lluvias torrenciales que afectarían severamente la costa del Pacífico. Los expertos llaman a la población a mantenerse informada y prepararse ante condiciones meteorológicas adversas.
Nueva zona de baja presión en Guerrero y Jalisco: ¿otro desastre en camino?
Un segundo sistema, ubicado al sur de Guerrero, Michoacán, Colima y Jalisco, presenta un 20% de probabilidad de convertirse en ciclón en 7 días. Aunque menos intenso que el primero, las autoridades advierten que la actividad atmosférica podría acelerar su desarrollo, afectando navegación, turismo y comunidades costeras.
Baja California Sur al borde del colapso: lluvias y vientos extremos
El SMN pronostica chubascos de 5 a 25 mm, vientos de 10 a 20 km/h y rachas de hasta 50 km/h. Las temperaturas entre 30 y 35°C aumentan la sensación de calor y humedad. La combinación de lluvias y viento puede provocar encharcamientos, caída de árboles y caos vial, por lo que la población debe extremar precauciones inmediatamente.

México bajo constante amenaza: huracanes y frentes fríos ponen el país en riesgo extremo
A esta amenaza tropical se suma la llegada del quinto frente frío de la temporada 2025-2026, mientras que para octubre se pronostican cinco frentes más, de un total de 48 hasta mayo de 2026.
La combinación de huracanes y frentes fríos multiplica el riesgo de eventos climáticos catastróficos, y las autoridades de Protección Civil mantienen vigilancia extrema y llaman a seguir protocolos de evacuación sin demora.















