

El Caribe vive horas críticas tras el paso del huracán más potente en más de un siglo. Con vientos extremos, lluvias torrenciales y marejadas históricas, el fenómeno ya transformó ciudades enteras en zonas de desastre. Las imágenes de devastación y las alertas de emergencia se multiplican mientras avanza hacia nuevas regiones.
El llamado "huracán del siglo" ya arrasó con todo a su paso y continúa su trayecto con fuerza destructiva sobre el Atlántico. Su impacto no solo amenaza infraestructuras, sino también la seguridad de millones de personas que ahora se preparan ante un escenario sin precedentes.
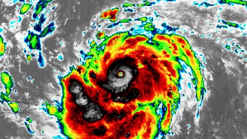
¿Qué es el "huracán del siglo" y qué país quedó destruido?
El huracán Melissa, de categoría 5, golpeó a Jamaica con vientos de hasta 295 km/h, convirtiéndose en el ciclón más poderoso de su historia. Las autoridades declararon al país "zona de desastre nacional" tras daños catastróficos en viviendas, hospitales y cultivos. Más de 500.000 personas fueron evacuadas y decenas de comunidades quedaron bajo el agua.
Tras destruir gran parte del territorio jamaiquino, Melissa llegó a Cuba como categoría 4, tocando tierra en Santiago de Cuba durante la madrugada del martes. El presidente Miguel Díaz-Canel advirtió que el país enfrenta "una de las noches más difíciles de los últimos tiempos", con más de medio millón de personas trasladadas a refugios y cortes de energía generalizados.
Impacto confirmado
- Vientos máximos: 250-295 km/h.
- Países afectados: Jamaica, Cuba, Haití y República Dominicana.
- Evacuados: más de 1 millón en total.

¿Qué países están ahora en peligro por el avance del huracán?
Con su núcleo sobre el oriente cubano, el huracán Melissa continúa desplazándose lentamente hacia el noreste, en dirección a las Bahamas y Bermudas.
El Centro Nacional de Huracanes de EE.UU. (NHC) advirtió que el sistema se mantendrá "extremadamente peligroso" durante las próximas 48 horas, generando olas de hasta cuatro metros y lluvias capaces de causar deslizamientos e inundaciones repentinas.
Los gobiernos de Bahamas y Bermudas ya emitieron órdenes de evacuación preventiva, mientras el Servicio Meteorológico Mundial alertó que el calentamiento del océano Atlántico está potenciando la fuerza de estos fenómenos. En Estados Unidos, la Guardia Costera vigila posibles impactos secundarios en Florida y la costa este.
Zonas bajo alerta máxima
- Santiago de Cuba y Guantánamo, por lluvias e inundaciones.
- Islas Bahamas, con evacuaciones obligatorias en el sur.
- Bermudas, bajo vigilancia por impacto indirecto.
- Florida y costa atlántica de EE.UU., en monitoreo por oleaje extremo.














