

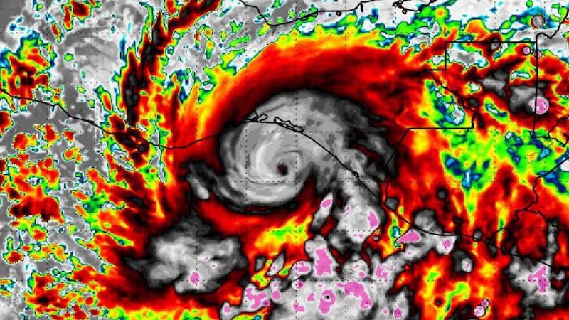
Una gran tormenta negra se aproxima a las costas del Atlántico y podría provocar lluvias intensas, inundaciones costeras y cortes de luz en amplias zonas del sureste y la costa este de Estados Unidos. El fenómeno se formaría en las próximas horas y podría fortalecerse durante el fin de semana.
Los expertos advierten que las temperaturas cálidas del Golfo Stream podrían darle más energía al sistema tropical, aumentando el riesgo de vientos fuertes y marejadas. El impacto principal se espera entre el viernes y el domingo, con condiciones peligrosas en varias regiones.
¿Qué zonas estarán bajo alerta por la gran tormenta negra y las lluvias intensas?
De acuerdo con los especialistas de AccuWeather, la tormenta negra se formaría entre las Bahamas, la costa sureste de EE. UU. y Bermuda, una franja activa esta temporada. Su movimiento lento podría generar inundaciones prolongadas y erosión costera en los litorales del Atlántico.
Las áreas bajo vigilancia por lluvias intensas y posibles cortes de luz incluyen:
- Carolina del Norte y del Sur, especialmente en la zona de Outer Banks.
- Virginia y Maryland, en sectores cercanos a la Interestatal 95.
- Florida central, con riesgo de marejadas y fuertes ráfagas.
- Nueva Inglaterra, donde se esperan vientos y corrientes peligrosas.

¿Cómo prevenir daños por las inundaciones y cortes de luz de la tormenta negra?
El mayor riesgo del temporal es su duración, que podría extender las lluvias por más de 48 horas. Además de inundaciones repentinas, se prevén apagones eléctricos y afectaciones en carreteras y viviendas costeras.
En estas situaciones, las autoridades recomiendan:
- Revisar drenajes y asegurar objetos sueltos.
- Mantener linternas, agua y cargadores portátiles listos.
- Evitar circular por zonas anegadas o con riesgo de derrumbes.
En el noreste, los vientos podrían acabar con el follaje otoñal antes de tiempo. Y si el sistema se desplaza más al norte, el aire seco podría aumentar el riesgo de incendios forestales en áreas con sequía.












