

El Centro Nacional de Huracanes (NHC) advierte sobre un nuevo sistema tropical en el Atlántico central que amenaza con intensificarse durante los próximos días, generando preocupación entre meteorólogos y autoridades de varias islas del Caribe.
Los expertos señalan que esta semana podría formarse una depresión tropical que afectaría regiones clave del territorio estadounidense y sus alrededores.
Aunque por ahora el sistema sigue siendo desorganizado, su desarrollo se está acelerando, y las condiciones atmosféricas son favorables para que se convierta en una tormenta más definida.
Alerta meteorológica: se aproxima una gran tormenta tropical que puede transformarse en un huracán
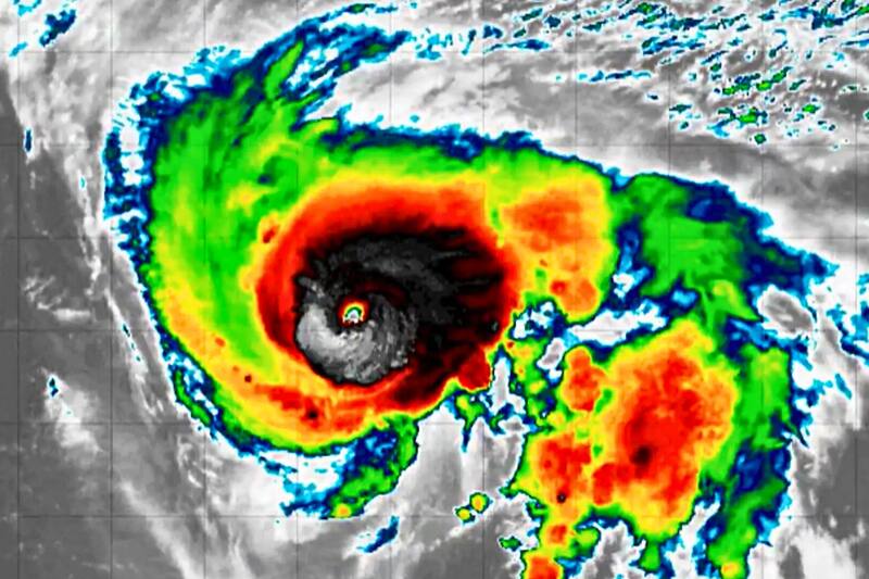
El Centro Nacional de Huracanes elevó al 70 % la probabilidad de desarrollo ciclónico del sistema conocido como Invest 95L en los próximos siete días. Actualmente se encuentra a varios cientos de millas al sur-suroeste de las Islas de Cabo Verde, generando aguaceros y tormentas eléctricas dispersas.
Se espera que el sistema se desplace rápidamente a través del Atlántico tropical central, acercándose a partes de las Islas de Sotavento hacia finales de la semana. Las autoridades recomiendan mantenerse atentos al desarrollo del fenómeno y seguir las alertas que emitan las agencias oficiales.

Aunque el pronóstico indica que el sistema podría desviarse hacia el norte, alejándose de la costa este de Estados Unidos, se prevé que genere condiciones peligrosas en playas y costas, como corrientes de resaca y posibles inundaciones costeras. Florida, así como los estados del noreste, podrían experimentar efectos indirectos de la tormenta.
¿Cuáles serán las zonas más afectadas?
Las Islas de Sotavento y otras zonas del Caribe podrían experimentar lluvias intensas y vientos fuertes, incluso si el sistema no alcanza la categoría de huracán. Entre las áreas en riesgo se incluyen:
- Puerto Rico.
- Islas Vírgenes estadounidenses.
- Islas Vírgenes británicas.
- Antigua y Barbuda.
- Turcas y Caicos.














