

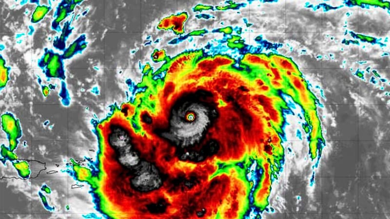
La tormenta tropical Jerry se formó este martes sobre el Atlántico central y se espera que alcance la categoría de huracán para el miércoles. Se trata de la décima tormenta con nombre de una temporada tardía, que ya produjo tres huracanes en poco más de dos semanas.
Según el Centro Nacional de Huracanes (NHC), Jerry registraba vientos sostenidos de 80 km/h durante la noche del martes y se encontraba a poco más de 1.600 kilómetros al este-sureste de las Islas de Sotavento del norte y avanzaba hacia el oeste-noroeste.
Ahora, las autoridades emitieron una alerta de tormenta tropical para Antigua y Barbuda, Anguila, San Bartolomé, San Martín y Sint Maarten, lo que indica que en las próximas 48 horas podrían presentarse vientos de entre 63 y 117 km/h en esa zona.
Hacia dónde se dirige la tormenta tropical Jerry
NHC informó que la tormenta probablemente se desplace cerca o al norte de las Islas de Sotavento del Norte a finales de esta semana, convertida ya en huracán de categoría 1.
Dependiendo de la trayectoria exacta, Jerry podría llevar lluvia y ráfagas de viento a estas islas. Los pronósticos anticipan que el fenómeno se intensifique entre el viernes y el sábado hasta alcanzar la categoría 2, mientras pase al este de Bermudas sobre aguas abiertas.

Sin embargo, el territorio continental de Estados Unidos no enfrentaría una amenaza, ya que un frente frío cruzará la costa este y desviará a Jerry mar adentro.
Alerta meteorológica por tormenta tropical: qué dice el pronóstico del día
Como señaló CNN, este tipo de frentes fríos en la costa son muy comunes en octubre, por lo que las tormentas de final de temporada,que a menudo se forman en el golfo y el Caribe, son especialmente preocupantes para Estados Unidos. "Dado que estas regiones están más cerca de tierra, cualquier tormenta que se forme tiene una mayor probabilidad de causar impactos peligrosos", alertan.
De todos modos, la probabilidad de que un sistema intente desarrollarse en el suroeste del golfo a finales de esta semana es bajo, pero de mayor interés es un patrón meteorológico generador de tormentas que podría desarrollarse a mediados de octubre.
Al respecto, como señaló Phil Klotzbach, experto en huracanes e investigador de la Universidad Estatal de Colorado, "es probable que se forme una amplia zona de clima tormentoso alrededor de esa fecha y que gire alrededor de la región occidental del Caribe".













